
DP Clôture
Un projet de clôture ? Vous souhaitez une clôture sur-mesure adapté à vos besoins ? Découvrez notre offre !

DP Clôture
Un projet de clôture ? Vous souhaitez une clôture sur-mesure adapté à vos besoins ? Découvrez notre offre !
Vous avez un projet de clôture ?
On s'occupe de tout !
La déclaration préalable est indispensable pour l'installation d'une clôture, garantissant la conformité avec le Plan Local d’Urbanisme (PLU) et les réglementations en vigueur. Cette démarche, parfois complexe, nécessite une étude précise de l’emplacement, des dimensions, et de l'impact visuel.
Chez Office-Plan, nous déposons des dossiers pour des clôtures seules, mais également pour des projets incluant d'autres aménagements extérieurs comme des portails, allées, ou murets. Nous concevons des espaces extérieurs sur-mesure, adaptés à vos attentes, pour sécuriser et valoriser votre propriété. Nous nous déplaçons à Orléans et dans sa région, et nous travaillons à distance sur toute la France.


NOS DERNIÈRES DÉCLARATIONS PRÉALABLES POUR DES CLÔTURES












Exemple de déclaration préalable de clôture
Formulaire CERFA
Le CERFA de déclaration préalable pour une clôture est un formulaire officiel à soumettre à la mairie, détaillant les aspects du projet. Il demande des informations précises sur le terrain, la hauteur et les matériaux de la clôture, ainsi que son impact visuel. Remplir ce formulaire avec soin est essentiel pour éviter tout retard ou complication lors de l'instruction du dossier.
DP 1 - Plan de situation
Un plan de situation est un document qui montre l’emplacement précis d’un terrain par rapport au cadastre et à son environnement immédiat. Il doit inclure les voies d'accès, les parcelles voisines, ainsi que les infrastructures publiques et privées alentour. Ce plan aide à situer le projet dans son contexte géographique et à évaluer son intégration dans le tissu urbain.


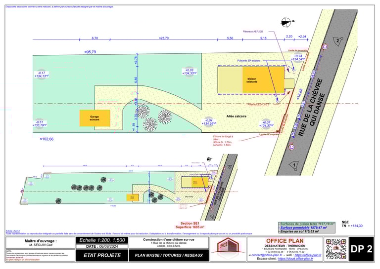
DP 2 - Plan masse
Un plan de masse pour une déclaration préalable de clôture représente l'implantation de la clôture sur le terrain, en indiquant les limites de propriété, les accès, et les aménagements existants. Il doit inclure la disposition de la clôture par rapport aux bâtiments, aux voies de circulation, et aux distances par rapport aux limites du terrain et aux constructions voisines. Pour les projets de clôture, il est souvent conseillé de réaliser deux plans de masse : l'état existant et l'état projeté.


DP 3 - Plan de coupe : du terrain et des constructions
Un plan de coupe pour une déclaration préalable de clôture est un document technique qui montre une vue verticale du terrain et de la future clôture. Il doit inclure au moins deux coupes : l'une illustrant le terrain existant et l'autre le projet de clôture, avec ses dimensions et son emplacement. Ce plan permet de visualiser la hauteur de la clôture par rapport au terrain et son impact visuel. Pour une clôture, il est souvent conseillé de fournir deux plans de coupe : état actuel et état après les travaux.


DP 4 - Plan des façades et des toitures
Le plan des façades et des toitures montre les aspects extérieurs du bâtiment projeté. Il inclut les vues des façades, avec les matériaux, les ouvertures et les détails architecturaux, ainsi que la toiture, précisant ses pentes et matériaux de couverture. Ce plan permet de visualiser l'apparence finale du bâtiment. Pour un clôture ce plan n'est souvent pas nécessaire !
DP 5 - Descriptif de l'aspect extérieur du projet
Le document de représentation de l'aspect extérieur pour une clôture illustre l'apparence finale du projet. Il peut inclure des vues en 3D montrant la clôture, les matériaux, les couleurs, ainsi que les éléments annexes éventuels. Ce document permet d’évaluer l’intégration esthétique de la clôture dans son environnement. Une notice descriptive peut aussi détailler les matériaux et les modalités de réalisation pour garantir une harmonie visuelle et une conformité avec les attentes locales.


DP 6 - Insertion dans le site
Le plan d'insertion dans le site pour une clôture montre comment celle-ci s'intègre dans son environnement. Il illustre la position de la clôture par rapport aux éléments existants, tels que les routes, les espaces verts, et les constructions voisines. Ce plan permet de visualiser l'impact de la clôture sur le site et ses alentours, en assurant une bonne harmonie avec l'environnement.


DP 7 & 8 - les photos du terrain existant et de son environnement
Les photos DP 7 et DP 8 sont des images requises pour la déclaration préalable qui montrent l'état actuel du site et ses environs. Elles permettent de visualiser le terrain avant les travaux et d’illustrer les conditions existantes.


Les autres documents pouvant être nécessaire
En zone ABF il sera nécessaire d'ajouter un descriptif des matériaux davantage détaillé que la simple notice architecturale (DP 11)
Chacun son métier comme on dit ?
Simplifiez-vous la vie !
Notre équipe s'occupe de votre dossier de A à Z !


Ils nous ont fait confiance
Yann DA SILVA
Yann DA SILVA
Yann DA SILVA
Super projet réalisé avec OFFICE-PLAN une équipe vraiment à l'écoute qui a su répondre à mes attentes...
Super projet réalisé avec OFFICE-PLAN une équipe vraiment à l'écoute qui a su répondre à mes attentes...
Super projet réalisé avec OFFICE-PLAN une équipe vraiment à l'écoute qui a su répondre à mes attentes...







Office Plan réalise vos projets !
Chez Office-Plan, nous concevons des projets sur-mesure pour réaliser la clôture de vos rêves, tout en prenant en charge l'ensemble des démarches administratives. Forts de notre expertise en architecture et en déclarations préalables, nous vous offrons un accompagnement personnalisé, à l'écoute de vos besoins. Simplifiez votre projet, gagnez du temps et assurez-vous une clôture conforme à vos attentes et aux réglementations en vigueur. Nous nous déplaçons à Orléans et dans sa région, et nous travaillons à distance sur toute la France. Contactez-nous dès aujourd'hui pour un devis gratuit et sans engagement !
Coordonnées


1 Boulevard Rocheplatte
45000 ORLÉANS
09 72 51 60 07
contact@office-plan.fr


